Issue 5, 2018

Single quantum dot-based nanosensor for sensitive detection of 5-methylcytosine at both CpG and non-CpG sites

Abstract

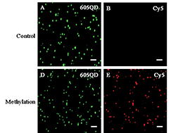
DNA methylation is an important epigenetic modification in human genomes. Herein, we develop a single quantum dot (QD)-based nanosensor for sensitive detection of DNA methylation at both CpG and non-CpG sites using tricyclic ligation chain reaction (LCR)-mediated QD-based fluorescence resonance energy transfer (FRET). We design two sets of DNA probes (X and Y, X′ and Y′) for methylated DNA assay. In the presence of thermostable DNA ligase, probes X and Y may adjacently hybridize with the methylated DNA to obtain the ligated XY products which may function as the templates for probes X′ and Y′ to generate the X′Y′ products. The resultant X′Y′ products may in turn act as the templates to ligate probes X and Y for the generation of XY products, consequently inducing tricyclic LCR amplification under thermal denaturation conditions to generate a large number of XY products. The subsequent hybridization of XY products with the capture and reporter probes results in the formation of sandwich hybrids which may assemble on the 605QD surface to obtain 605QD–oligonucleotide–Cy5 nanostructures, inducing efficient FRET from the 605QD to Cy5 and the emission of Cy5. This nanosensor can detect DNA methylation at single 5-methylcytosine (5-mC) resolution with a detection limit of as low as 1.0 aM and a large dynamic range of 7 orders of magnitude. Moreover, this nanosensor can distinguish as low as a 0.01% methylation level, and it can detect DNA methylation in human lung cancer cells as well, holding great potential for accurate epigenetic evaluation and early cancer diagnosis.

Graphical abstract: Single quantum dot-based nanosensor for sensitive detection of 5-methylcytosine at both CpG and non-CpG sites

Associated articles

Supplementary files

Article information

Article type
Edge Article
Submitted
07 Nov 2017
Accepted
12 Dec 2017
First published
13 Dec 2017
This article is Open Access

All publication charges for this article have been paid for by the Royal Society of Chemistry
Creative Commons BY license

Chem. Sci., 2018,9, 1330-1338

Single quantum dot-based nanosensor for sensitive detection of 5-methylcytosine at both CpG and non-CpG sites

Z. Wang, L. Wang, Q. Zhang, B. Tang and C. Zhang, Chem. Sci., 2018, 9, 1330 DOI: 10.1039/C7SC04813K

This article is licensed under a Creative Commons Attribution 3.0 Unported Licence. You can use material from this article in other publications without requesting further permissions from the RSC, provided that the correct acknowledgement is given.

Read more about how to correctly acknowledge RSC content.

Social activity

Spotlight

Advertisements